Description
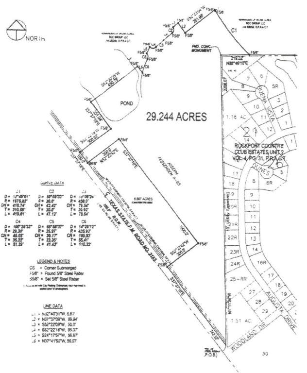
REALTORS! Call all your investors and developers. This site backs up to the Rockport Country Club!! Areas of development for the front southside of land has around 750 linear ft. of Pearl Rd or FM 2165 ( 4.25 acres) for Commercial Development. And the northside has a separate 120 linear ft entrances for development, approximately 25 acres of land for residential development. A total of 29.244 acres of land!!
-
0BEDS
-
N/AACRES
-
0BATHS
-
01/2 BATHS
School Ratings & Info
Description
REALTORS! Call all your investors and developers. This site backs up to the Rockport Country Club!! Areas of development for the front southside of land has around 750 linear ft. of Pearl Rd or FM 2165 ( 4.25 acres) for Commercial Development. And the northside has a separate 120 linear ft entrances for development, approximately 25 acres of land for residential development. A total of 29.244 acres of land!!
